ifac | Huis | Renovatie... | 12256

Renovatie opportuniteit in het centrum van Duisburg te koop in 3080 Duisburg.

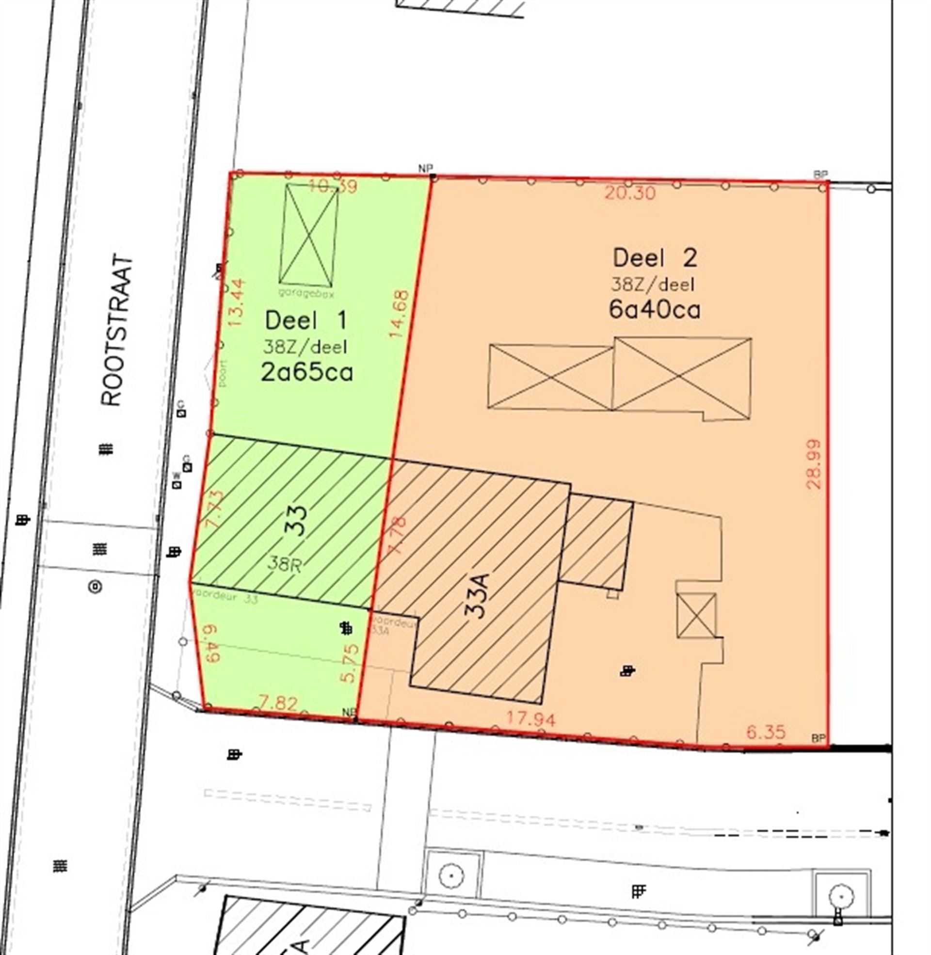
Rootstraat 33, 3080 Duisburg
3 slaapkamer(s)
1 badkamer(s)
120 m² woonoppervlakte
1 garage(s)
  • REF. 12256
  • Rootstraat 33, 3080 Duisburg

Omschrijving

Renovatie opportuniteit van een 3-gevelwoning nabij het centrum van Duisburg.

Gelijkvloers: +/- 36m² woonkamer met 2 gaskachels, ingerichte keuken (kookplaat, koelkast, oven en vaatwasser)(+/- 13m²), hal met trap naar de verdieping. 
1ste verdieping: nachthal, 2 slaapkamers van +/- 11m² en een slaapkamer van +/- 13m² waarvan 1 met ensuite badkamer (douche in bad met 1 wastafel en toilet) (+/-8m²), bergingsruimte (+/11m²) met toegang tot de zolder (+/-10m²).

Overige informatie: renovatieverplichting - EPC F - bewoonbare oppervlakte (volgens EPC) 167m² - P- en G-score: A - conforme elektrische installatie - perceelgrootte 265m²

Strategisch gelegen op wandelafstand van het centrum, nabij openbaar vervoer, belangrijke invalswegen en de centra van Vossem en Tervuren.

Het aandeel in de opmetings/afpalingskosten van het perceel zijn ten laste van de koper en bedragen €500.

Bijkomende opportuniteit om de naastgelegen woning aan te kopen en een ruime tweewoonst te realiseren.
 

Lees meer

Kenmerken

Algemeen

Referentie 12256
Type Huis
Subtype Huis
Adres Rootstraat 33, 3080 Duisburg
Aantal verdiepingen 3
Bewoonbare oppervlakte 120 m²
Aantal slaapkamers 3
Aantal badkamers 1
Aantal toiletten 2
Aantal garages 1
Oppervlakte living 36 m²

comfort

Verwarming (type) Individueel
Verwarming CV op gas
Gas Ja
Raamkozijnen Hout
Beglazing Dubbel glas
Gas Ja

indeling

Kelder(-1)
Kelder 20m²
Gelijkvloers
Berging 9m²
Garage 15m²
Inkomhal 6m²
Keuken 13m²
Leefruimte 36m²
Terras 15m²
Toilet 1 2m²
Eerste verdieping
Badkamer 1 8m²
Nachthal 4m²
Slaapkamer 1 13m²
Slaapkamer 2 11m²
Slaapkamer 3 11m²
Zolder 11m²

bebouwing

Bebouwing Halfopen
Bouwjaar 1900
Dak Puntdak

Energieprestaties

EPC label 781
EPC Waarde 781 kWh/m²/jaar
EPC Referentie 3775657
Certificaat elektriciteit Ja, conform AREI

Stedenbouwkundige info

Stedenbouwkundige bestemming Woongebied met landelijk karakter
Stedenbouwkundige vergunning Ja
Dagvaarding en herstelvordering Niet van toepassing
Voorkooprecht Ja
Verkavelingsvergunning Nee
G-score A
P-score A

Een vraag?